Airport Name and ICAO/IATA Code
Bordeaux–Mérignac Airport (ICAO: LFBD / IATA: BOD)
Location (City, Country)
Bordeaux, France
Airport Type & Size
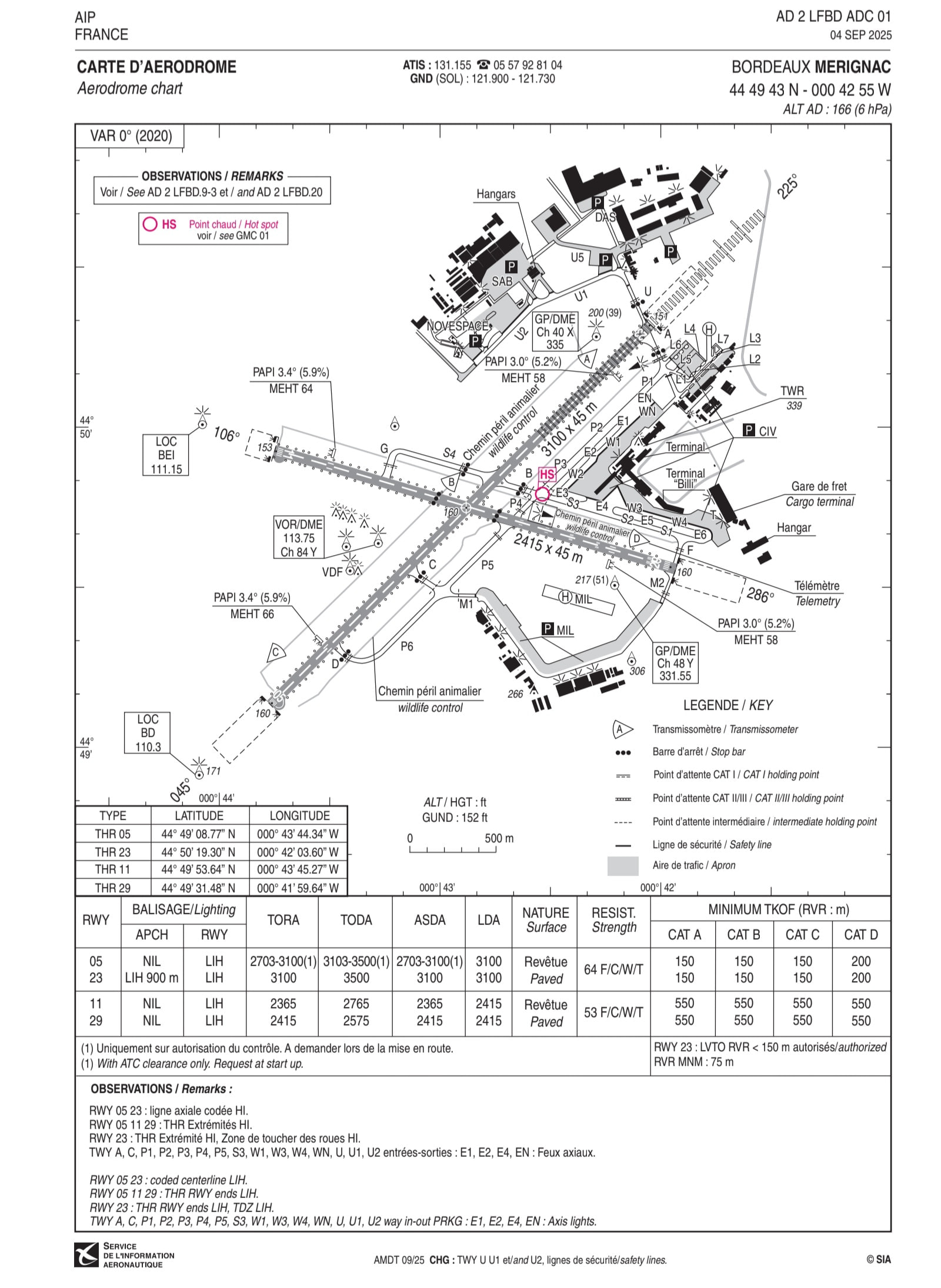
Mid-size to Large Regional Airport in the Commune of Mérignac, situated 7.5 miles (12km) to the west of Bordeaux in Southwestern France. It has 2 runways, 05/23 at 3,100m/10,171ft long and crossing runway 11/29 at 2,415m/7,923ft long. It has a 3 terminals;Terminal A being the main international flights terminal,
Terminal B principally serving Air France,
Terminal Billi (Stands for ‘Bordeaux Illico’, translated roughly to Bordeaux Instant) being the low-cost terminal currently only served by easyJet, Vueling and Wizz but which Ryanair used to operate from with a base at the airport until 2024 when it left.
A military facility is situated to the South of the airport and Sabena Technics (Yes the deceased Belgian flag carrier that died in 2002) has a maintenance facility in the Northwest.
Firefighting aircraft have also utilised the airport when there have been forest fires in the Aquitaine region which could add for another bonus operation or Easter egg.
Why should this airport be added to World of Airports?
A 2 runway airport with both passenger and cargo ops and a military facility, it ticks all the boxes players like, as well as not being too large to be a detriment for older devices and allowing for proper regional ops with the ability to do some international long haul if players so wish.It would provide a French airport, one that is not massive and which has good connectivity and flow. It would also be in a good position for regional connectivity, allowing for players to fly from a future Southern Spanish and Portuguese airport on realistic length routes to a French airport and for the likes of LHR and ZRH to also have that regional connectivity. It could also make for a first airport in-game to have easyJet and Volotea as a local LCC airline along with Air France as the legacy operator and Transavia as the holiday airline.
Major Airlines & Routes
easyJet is one of two airlines who operate a hub at the airport the other being Volotea. Both of these airlines currently don’t have a hub at any in-game airport (Though arguable PRG could be an EZY hub).EZY destinations,
Volotea destinations,
Air France operates flights to Paris, Lyon and seasonably Nice. Transavia also has a large presence at the airport seasonally connecting to destinations in Spain, Portugal and Africa.
Corsair has a small presence doing charter flights to the Caribbean with their NEO’s and previously the A330s they operated.
2026 airlines and destinations,
2023 airlines and destinations,
2017 airlines and destinations,
2013 airlines and destinations,
2009 airlines and destinations,
Unique Features or Challenges
Intersecting runways, Military base for cool fighter/transport operations, Private and general aviation, Beluga’s regularly receive maintenance at Sabena Technics as well as bringing in parts alongside other Airbus aircraft, the abandoned Caravelle and Dassault Mercure (Very rare) stored at the airport,And ofc the new Tram link to the airport which’d be a cool addition.
Optional: Links, images, maps, or videos
Bordeaux–Mérignac Airport - WikipediaJetphotos terminal and control tower pic from 2011,
Overview,
Runway 23 (Terminal to the left),
Runway 05,
Runway 11,
Runway 29 (Terminal to the right),
Runways,
Map,
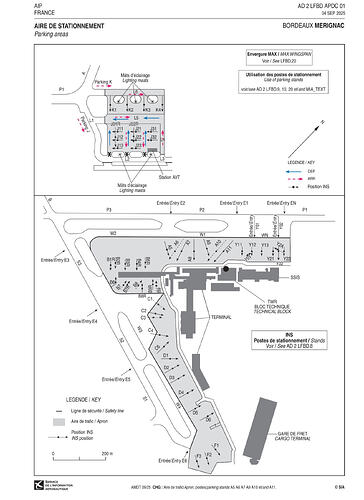
Parking areas,
These were from this awesome guide for Infinite Flight
Terminals (Billi at the bottom),
Billi at the right,
Jetways,
Terminal Map,
Sabena Technics
(Etihad and FrenchBee A35K - Could be a cool bonus stand for event aircraft going for maintenance),
Air Europa and Livingston A332’s,
Zero G A300,
A359,
A380 stored outside,
A380 getting a check up,
French President departing with seemingly half of Thai’s fleet lurking in the background,
Double Beluga Trouble,
Overview,
Control tower lit up at night,
A small collection of my photos from when I visited,
Apologies for blokes nose (My plane was sadly the Ryanair on the right, this was trip no.2 didn’t take many photos),
Trip no.1 with EZY (Much nicer lol),
I believe this was my returning aircraft but not sure,
HOP!,
The other big fella at the airport,
The regular CDG flight,
Norwegian Long Haul was stored here for a good while through 2019-2023,

















































