Airport Name and ICAO/IATA Code
Jeju International Airport (ICAO: RKPC / IATA: CJU)
Location (City, Country)
Jeju City, South Korea
Airport Type & Size
Busy regional international airport with 1 main runway, South Korea’s second-busiest airport (~30M pax/year pre-COVID)
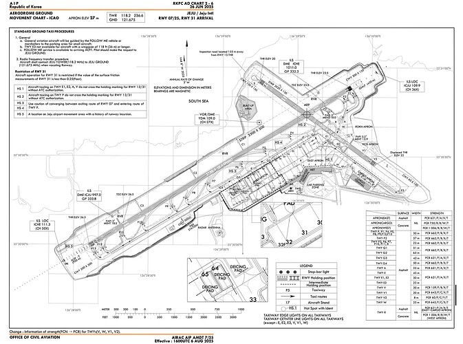
Runway information for Jeju International Airport (RKPC / CJU):
Runway:
| 07/25 | 3,180 |
| 13/31 | 1,910 |
Suitable for most narrow-body aircraft and some wide-body aircraft operations.
An example of approximate connections theoretically possible between airports:
- CJU → NGO - 519 nm - B / C / D / E
- CJU → HKG - 1090 nm - B / C / D / E
- CJU → BKK - 1839 nm - B / C / D / E
- CJU → CNN - 3066 nm - C / D / E
- CJU → MCT - 3590 nm - C / D / E
- CJU → PRG - 4640 nm - D / E
- CJU → SYD - 4260 nm - D / E
- CJU → LEJ - 4650 nm - D / E
- CJU → INN - 4845 nm - D
- CJU → BRI - 4890 nm - D / E
- CJU → LHR - 5000 nm - D / E
- CJU → SAN - 5450 nm - D / E
- CJU → IAD - 6270 nm - D / E
- CJU → MSY - 6473 nm - D / E
- CJU → SXM - 7672 nm - E
Why should this airport be added to World of Airports?
Jeju Airport can be used in two possible ways:
- The first option is a fully detailed 3D version of the airport. It would be a medium-sized airport, offering a great balance between recently released large airports such as BKK, GRU, HKG, and SCL, and mid-sized ones like NGO, PRG, and BRI.
- Alternatively, it could be added as one of the “generic airports”.
_________________________________________________________________________________________________________
In both cases, the airport could feature operations such as runway direction changes depending on wind direction.
#29 Next in Line – Aircraft, Features, and a Few Surprises
Jeju has a convenient layout of its runway, terminal, and taxiways, making it a great candidate to introduce or expand this mechanic in the game, adding more realism and operational variety.
07 / 25 <<<
>>> 07 / 25
_________________________________________________________________________________________________________Jeju is one of South Korea’s main domestic hubs, with extremely high flight frequency — especially on the Jeju–Seoul route, which is among the busiest air routes in the world. The airport handled over 30 million passengers annually before the pandemic, making it one of Asia’s busiest single-runway airports.
Adding Jeju would introduce a mid-sized, high-traffic airport that perfectly balances the recent large international additions, bringing players more variety, regional realism, and a fresh operational challenge.
Major Airlines & Routes
Focus city:
- Asiana Airlines
- Korean Air
Operating base for:
- Eastar Jet
- Jeju Air
- Jin Air
Domestic
• Korean Air
• Asiana
• Jeju Air
• Jin Air
• T’way
• Air Busan
• Aero K
• Air Seoul
• Parata Air
• Eastar Jet
— routes to Seoul (GMP/ICN), Busan, Daegu, and international destinations like Tokyo, Shanghai, and Taipei.International Airlines
• Peach Aviation (Japan)
• Spring Airlines (China)
• China Eastern Airlines
• China Southern Airlines
• Juneyao Air
• Tigerair Taiwan
• Starlux Airlines
• HK Express (Hong Kong)
• Philippine Airlines
• Cebu Pacific
• Thai AirAsia
• Loong Air
• West Air
• Okay Airways
• Qingdao Airlines
• Scoot
• XiamenAir__________________________________________________________
Destination / Flight name / Airline / Terminal
| Destination | Arrival time | Flight name | Airline | |||
|---|---|---|---|---|---|---|
| CHEONGJU | CJJ | 15:30 | RF609 | AERO K AIRLINES | Airbus А320 | Domestic |
| CHEONGJU | CJJ | 19:50 | RF613 | AERO K AIRLINES | Airbus А320 | Domestic |
| BEIJING CAPITAL | PEK | 21:05 | CA711 | AIR BUSAN | Boeing B738 | International |
| BUSAN | PUS | 8:30 | BX8107 | AIR BUSAN | Airbus А321 | Domestic |
| BUSAN | PUS | 9:00 | BX8105 | AIR BUSAN | Airbus А21NX | Domestic |
| BUSAN | PUS | 9:00 | BX8133 | AIR BUSAN | Airbus А21NX | Domestic |
| BUSAN | PUS | 12:35 | BX8183 | AIR BUSAN | Airbus А321 | Domestic |
| BUSAN | PUS | 12:40 | BX8109 | AIR BUSAN | Airbus А320 | Domestic |
| BUSAN | PUS | 14:25 | BX8111 | AIR BUSAN | Airbus А321 | Domestic |
| BUSAN | PUS | 15:35 | BX8115 | AIR BUSAN | Airbus А320 | Domestic |
| BUSAN | PUS | 16:00 | BX8113 | AIR BUSAN | Airbus А320 | Domestic |
| BUSAN | PUS | 17:55 | BX8117 | AIR BUSAN | Airbus А21NX | Domestic |
| BUSAN | PUS | 18:50 | BX8135 | AIR BUSAN | Airbus А321 | Domestic |
| BUSAN | PUS | 19:20 | BX8139 | AIR BUSAN | Airbus А321 | Domestic |
| SEOUL (GIMPO) | GMP | 8:30 | BX8025 | AIR BUSAN | Airbus А321 | Domestic |
| SEOUL (GIMPO) | GMP | 8:30 | BX8013 | AIR BUSAN | Airbus А320 | Domestic |
| SEOUL (GIMPO) | GMP | 16:30 | BX8021 | AIR BUSAN | Airbus А321 | Domestic |
| SEOUL (GIMPO) | GMP | 18:55 | BX8019 | AIR BUSAN | Airbus А320 | Domestic |
| ULSAN | USN | 12:45 | BX8301 | AIR BUSAN | Airbus А320 | Domestic |
| ULSAN | USN | 19:00 | BX8305 | AIR BUSAN | Airbus А320 | Domestic |
| WENZHOU | WNZ | 18:15 | CA733 | AIR BUSAN | Airbus А320 | International |
| SEOUL (GIMPO) | GMP | 7:15 | RS901 | AIR SEOUL | Airbus А321 | Domestic |
| SEOUL (GIMPO) | GMP | 11:00 | RS903 | AIR SEOUL | Airbus А321 | Domestic |
| SEOUL (GIMPO) | GMP | 15:05 | RS905 | AIR SEOUL | Airbus А321 | Domestic |
| SEOUL (GIMPO) | GMP | 19:30 | RS907 | AIR SEOUL | Airbus А321 | Domestic |
| CHEONGJU | CJJ | 14:05 | OZ8233 | ASIANA AIRLINES | Airbus А321 | Domestic |
| CHEONGJU | CJJ | 18:20 | OZ8235 | ASIANA AIRLINES | Airbus А321 | Domestic |
| CHEONGJU | CJJ | 22:20 | OZ8239 | ASIANA AIRLINES | Airbus А321 | Domestic |
| DAEGU | TAE | 10:35 | OZ8123 | ASIANA AIRLINES | Airbus А321 | Domestic |
| DAEGU | TAE | 20:15 | OZ8127 | ASIANA AIRLINES | Airbus А321 | Domestic |
| GWANGJU | KWJ | 10:55 | OZ8141 | ASIANA AIRLINES | Airbus А321 | Domestic |
| GWANGJU | KWJ | 13:55 | OZ8143 | ASIANA AIRLINES | Airbus А321 | Domestic |
| GWANGJU | KWJ | 15:35 | OZ8145 | ASIANA AIRLINES | Airbus А321 | Domestic |
| GWANGJU | KWJ | 19:00 | OZ8147 | ASIANA AIRLINES | Airbus А321 | Domestic |
| SEOUL (GIMPO) | GMP | 7:45 | OZ8901 | ASIANA AIRLINES | Airbus А321 | Domestic |
| SEOUL (GIMPO) | GMP | 7:55 | OZ8913 | ASIANA AIRLINES | Airbus А321 | Domestic |
| SEOUL (GIMPO) | GMP | 9:35 | OZ8921 | ASIANA AIRLINES | Airbus А321 | Domestic |
| SEOUL (GIMPO) | GMP | 9:40 | OZ8927 | ASIANA AIRLINES | Airbus А321 | Domestic |
| SEOUL (GIMPO) | GMP | 11:55 | OZ8935 | ASIANA AIRLINES | Airbus А321 | Domestic |
| SEOUL (GIMPO) | GMP | 12:35 | OZ8941 | ASIANA AIRLINES | Airbus А321 | Domestic |
| SEOUL (GIMPO) | GMP | 13:40 | OZ8949 | ASIANA AIRLINES | Airbus А321 | Domestic |
| SEOUL (GIMPO) | GMP | 14:10 | OZ8951 | ASIANA AIRLINES | Airbus А321 | Domestic |
| SEOUL (GIMPO) | GMP | 14:35 | OZ8953 | ASIANA AIRLINES | Airbus А321 | Domestic |
| SEOUL (GIMPO) | GMP | 16:25 | OZ8963 | ASIANA AIRLINES | Airbus А333 | Domestic |
| SEOUL (GIMPO) | GMP | 17:00 | OZ8973 | ASIANA AIRLINES | Airbus А321 | Domestic |
| SEOUL (GIMPO) | GMP | 18:40 | OZ8981 | ASIANA AIRLINES | Airbus А321 | Domestic |
| SEOUL (GIMPO) | GMP | 20:30 | OZ8985 | ASIANA AIRLINES | Airbus А321 | Domestic |
| SEOUL (GIMPO) | GMP | 22:00 | OZ8993 | ASIANA AIRLINES | Airbus А321 | Domestic |
| SEOUL (GIMPO) | GMP | 22:25 | OZ8995 | ASIANA AIRLINES | Airbus А321 | Domestic |
| YEOSU | RSU | 12:40 | OZ8197 | ASIANA AIRLINES | Airbus А321 | Domestic |
| YEOSU | RSU | 16:50 | OZ8199 | ASIANA AIRLINES | Airbus А321 | Domestic |
| HANGZHOU | HGH | 14:05 | JD359 | CAPITAL AIR | Airbus А320 | International |
| SHANGHAI PUDONG | PVG | 12:30 | MU5059 | CHINA EASTERN | Airbus А20N | International |
| SHANGHAI PUDONG | PVG | 15:00 | MU5037 | CHINA EASTERN | Airbus А332 | International |
| SHANGHAI PUDONG | PVG | 18:10 | MU5027 | CHINA EASTERN | Airbus А332 | International |
| BUSAN | PUS | 7:55 | ZE901 | EASTAR JET | Boeing B38M | Domestic |
| CHEONGJU | CJJ | 8:50 | ZE711 | EASTAR JET | Boeing B738 | Domestic |
| CHEONGJU | CJJ | 21:40 | ZE715 | EASTAR JET | Boeing B738 | Domestic |
| SEOUL (GIMPO) | GMP | 7:20 | ZE201 | EASTAR JET | Boeing B738 | Domestic |
| SEOUL (GIMPO) | GMP | 8:05 | ZE205 | EASTAR JET | Boeing B38M | Domestic |
| SEOUL (GIMPO) | GMP | 8:55 | ZE271 | EASTAR JET | Boeing B738 | Domestic |
| SEOUL (GIMPO) | GMP | 11:10 | ZE209 | EASTAR JET | Boeing B738 | Domestic |
| SEOUL (GIMPO) | GMP | 12:05 | ZE211 | EASTAR JET | Boeing B38M | Domestic |
| SEOUL (GIMPO) | GMP | 12:30 | ZE281 | EASTAR JET | Boeing B738 | Domestic |
| SEOUL (GIMPO) | GMP | 12:45 | ZE273 | EASTAR JET | Boeing B738 | Domestic |
| SEOUL (GIMPO) | GMP | 13:50 | ZE215 | EASTAR JET | Boeing B738 | Domestic |
| SEOUL (GIMPO) | GMP | 15:00 | ZE217 | EASTAR JET | Boeing B738 | Domestic |
| SEOUL (GIMPO) | GMP | 15:55 | ZE219 | EASTAR JET | Boeing B38M | Domestic |
| SEOUL (GIMPO) | GMP | 16:45 | ZE275 | EASTAR JET | Boeing B738 | Domestic |
| SEOUL (GIMPO) | GMP | 16:50 | ZE223 | EASTAR JET | Boeing B738 | Domestic |
| SEOUL (GIMPO) | GMP | 17:40 | ZE225 | EASTAR JET | Boeing B738 | Domestic |
| SEOUL (GIMPO) | GMP | 19:10 | ZE227 | EASTAR JET | Boeing B738 | Domestic |
| SEOUL (GIMPO) | GMP | 19:50 | ZE283 | EASTAR JET | Boeing B38M | Domestic |
| SEOUL (GIMPO) | GMP | 20:25 | ZE277 | EASTAR JET | Boeing B738 | Domestic |
| SEOUL (GIMPO) | GMP | 20:55 | ZE233 | EASTAR JET | Boeing B738 | Domestic |
| SEOUL (GIMPO) | GMP | 21:30 | ZE235 | EASTAR JET | Boeing B738 | Domestic |
| SHANGHAI PUDONG | PVG | 7:15 | ZE692 | EASTAR JET | Boeing B738 | International |
| TAIPEI | TPE | 6:05 | ZE886 | EASTAR JET | Boeing B738 | International |
| HONG KONG | HKG | 6:30 | UO698 | HONG KONG EXPRESS | Airbus А21N | International |
| BEIJING CAPITAL | PEK | 6:10 | 7C8134 | JEJU AIR | Boeing B738 | International |
| BEIJING DAXING | PKX | 17:55 | 7C8136 | JEJU AIR | Boeing B738 | International |
| BUSAN | PUS | 9:05 | 7C501 | JEJU AIR | Boeing B738 | Domestic |
| BUSAN | PUS | 9:55 | 7C503 | JEJU AIR | Boeing B738 | Domestic |
| BUSAN | PUS | 13:30 | 7C505 | JEJU AIR | Boeing B738 | Domestic |
| BUSAN | PUS | 15:45 | 7C507 | JEJU AIR | Boeing B738 | Domestic |
| BUSAN | PUS | 16:50 | 7C509 | JEJU AIR | Boeing B738 | Domestic |
| BUSAN | PUS | 18:00 | 7C513 | JEJU AIR | Boeing B738 | Domestic |
| CHEONGJU | CJJ | 11:05 | 7C211 | JEJU AIR | Boeing B738 | Domestic |
| CHEONGJU | CJJ | 12:25 | 7C213 | JEJU AIR | Boeing B738 | Domestic |
| CHEONGJU | CJJ | 20:10 | 7C225 | JEJU AIR | Boeing B738 | Domestic |
| CHEONGJU | CJJ | 20:25 | 7C227 | JEJU AIR | Boeing B738 | Domestic |
| DAEGU | TAE | 9:15 | 7C711 | JEJU AIR | Boeing B738 | Domestic |
| DAEGU | TAE | 17:10 | 7C705 | JEJU AIR | Boeing B738 | Domestic |
| GWANGJU | KWJ | 10:45 | 7C301 | JEJU AIR | Boeing B738 | Domestic |
| GWANGJU | KWJ | 19:20 | 7C305 | JEJU AIR | Boeing B738 | Domestic |
| MATSUYAMA | MYJ | 21:30 | 7C1788 | JEJU AIR | Boeing B738 | International |
| SEOUL (GIMPO) | GMP | 7:30 | 7C101 | JEJU AIR | Boeing B738 | Domestic |
| SEOUL (GIMPO) | GMP | 7:35 | 7C151 | JEJU AIR | Boeing B738 | Domestic |
| SEOUL (GIMPO) | GMP | 7:35 | 7C103 | JEJU AIR | Boeing B738 | Domestic |
| SEOUL (GIMPO) | GMP | 8:05 | 7C105 | JEJU AIR | Boeing B738 | Domestic |
| SEOUL (GIMPO) | GMP | 8:50 | 7C107 | JEJU AIR | Boeing B738 | Domestic |
| SEOUL (GIMPO) | GMP | 10:10 | 7C109 | JEJU AIR | Boeing B738 | Domestic |
| SEOUL (GIMPO) | GMP | 10:35 | 7C111 | JEJU AIR | Boeing B738 | Domestic |
| SEOUL (GIMPO) | GMP | 11:25 | 7C153 | JEJU AIR | Boeing B738 | Domestic |
| SEOUL (GIMPO) | GMP | 11:45 | 7C113 | JEJU AIR | Boeing B738 | Domestic |
| SEOUL (GIMPO) | GMP | 12:50 | 7C115 | JEJU AIR | Boeing B738 | Domestic |
| SEOUL (GIMPO) | GMP | 13:10 | 7C117 | JEJU AIR | Boeing B738 | Domestic |
| SEOUL (GIMPO) | GMP | 13:40 | 7C119 | JEJU AIR | Boeing B738 | Domestic |
| SEOUL (GIMPO) | GMP | 14:20 | 7C121 | JEJU AIR | Boeing B738 | Domestic |
| SEOUL (GIMPO) | GMP | 14:35 | 7C123 | JEJU AIR | Boeing B738 | Domestic |
| SEOUL (GIMPO) | GMP | 15:15 | 7C155 | JEJU AIR | Boeing B738 | Domestic |
| SEOUL (GIMPO) | GMP | 15:40 | 7C125 | JEJU AIR | Boeing B738 | Domestic |
| SEOUL (GIMPO) | GMP | 16:20 | 7C127 | JEJU AIR | Boeing B738 | Domestic |
| SEOUL (GIMPO) | GMP | 16:55 | 7C129 | JEJU AIR | Boeing B738 | Domestic |
| SEOUL (GIMPO) | GMP | 17:15 | 7C131 | JEJU AIR | Boeing B738 | Domestic |
| SEOUL (GIMPO) | GMP | 18:00 | 7C133 | JEJU AIR | Boeing B738 | Domestic |
| SEOUL (GIMPO) | GMP | 19:15 | 7C157 | JEJU AIR | Boeing B738 | Domestic |
| SEOUL (GIMPO) | GMP | 19:20 | 7C135 | JEJU AIR | Boeing B738 | Domestic |
| SEOUL (GIMPO) | GMP | 20:30 | 7C137 | JEJU AIR | Boeing B738 | Domestic |
| SEOUL (GIMPO) | GMP | 20:40 | 7C139 | JEJU AIR | Boeing B738 | Domestic |
| SEOUL (GIMPO) | GMP | 21:40 | 7C141 | JEJU AIR | Boeing B738 | Domestic |
| SEOUL (INCHEON) | ICN | 19:25 | 7C167 | JEJU AIR | Boeing B738 | Domestic |
| BUSAN | PUS | 8:25 | LJ561 | JIN AIR | Boeing B738 | Domestic |
| BUSAN | PUS | 8:45 | LJ563 | JIN AIR | Boeing B738 | Domestic |
| BUSAN | PUS | 14:40 | LJ565 | JIN AIR | Boeing B738 | Domestic |
| BUSAN | PUS | 16:00 | LJ567 | JIN AIR | Boeing B738 | Domestic |
| BUSAN | PUS | 20:00 | LJ569 | JIN AIR | Boeing B738 | Domestic |
| CHEONGJU | CJJ | 12:40 | LJ401 | JIN AIR | Boeing B739 | Domestic |
| CHEONGJU | CJJ | 13:50 | LJ403 | JIN AIR | Boeing B739 | Domestic |
| CHEONGJU | CJJ | 15:20 | LJ405 | JIN AIR | Boeing B738 | Domestic |
| CHEONGJU | CJJ | 17:35 | LJ407 | JIN AIR | Boeing B739 | Domestic |
| CHEONGJU | CJJ | 20:35 | LJ409 | JIN AIR | Boeing B739 | Domestic |
| DAEGU | TAE | 11:15 | LJ421 | JIN AIR | Boeing B738 | Domestic |
| DAEGU | TAE | 13:35 | LJ423 | JIN AIR | Boeing B739 | Domestic |
| DAEGU | TAE | 14:45 | LJ425 | JIN AIR | Boeing B738 | Domestic |
| DAEGU | TAE | 16:40 | LJ427 | JIN AIR | Boeing B739 | Domestic |
| DAEGU | TAE | 19:05 | LJ429 | JIN AIR | Boeing B738 | Domestic |
| DAYONG | DYG | 6:10 | LJ892 | JIN AIR | Boeing B738 | International |
| GUNSAN | KUV | 12:10 | LJ463 | JIN AIR | Boeing B738 | Domestic |
| GUNSAN | KUV | 16:55 | LJ465 | JIN AIR | Boeing B738 | Domestic |
| GUNSAN | KUV | 18:30 | LJ467 | JIN AIR | Boeing B738 | Domestic |
| GWANGJU | KWJ | 10:10 | LJ451 | JIN AIR | Boeing B739 | Domestic |
| GWANGJU | KWJ | 17:25 | LJ453 | JIN AIR | Boeing B739 | Domestic |
| GWANGJU | KWJ | 20:45 | LJ455 | JIN AIR | Boeing B739 | Domestic |
| HONG KONG | HKG | 6:05 | LJ714 | JIN AIR | Boeing B738 | International |
| POHANG GYEONGJU | KPO | 11:35 | LJ435 | JIN AIR | Boeing B738 | Domestic |
| POHANG GYEONGJU | KPO | 15:05 | LJ437 | JIN AIR | Boeing B738 | Domestic |
| SEOUL (GIMPO) | GMP | 7:30 | LJ501 | JIN AIR | Boeing B738 | Domestic |
| SEOUL (GIMPO) | GMP | 7:45 | LJ503 | JIN AIR | Boeing B738 | Domestic |
| SEOUL (GIMPO) | GMP | 8:40 | LJ505 | JIN AIR | Boeing B738 | Domestic |
| SEOUL (GIMPO) | GMP | 11:45 | LJ507 | JIN AIR | Boeing B738 | Domestic |
| SEOUL (GIMPO) | GMP | 14:00 | LJ509 | JIN AIR | Boeing B738 | Domestic |
| SEOUL (GIMPO) | GMP | 16:35 | LJ511 | JIN AIR | Boeing B738 | Domestic |
| SEOUL (GIMPO) | GMP | 20:15 | LJ513 | JIN AIR | Boeing B738 | Domestic |
| SEOUL (GIMPO) | GMP | 20:20 | LJ515 | JIN AIR | Boeing B738 | Domestic |
| SHANGHAI PUDONG | PVG | 9:40 | LJ820 | JIN AIR | Boeing B738 | International |
| TAIPEI | TPE | 6:10 | LJ764 | JIN AIR | Boeing B738 | International |
| WONJU | WJU | 12:30 | LJ471 | JIN AIR | Boeing B738 | Domestic |
| WONJU | WJU | 18:35 | LJ473 | JIN AIR | Boeing B738 | Domestic |
| YEOSU | RSU | 10:15 | LJ461 | JIN AIR | Boeing B738 | Domestic |
| WUXI | WUX | 21:35 | HO1645 | JUNEYAO | Airbus А20N | International |
| SHANGHAI PUDONG | PVG | 10:45 | HO1375 | JUNEYAO AIRLINES | Airbus А321 | International |
| SHANGHAI PUDONG | PVG | 17:35 | HO1325 | JUNEYAO AIRLINES | Airbus А321 | International |
| SHANGHAI PUDONG | PVG | 21:35 | HO1371 | JUNEYAO AIRLINES | Airbus А20N | International |
| BEIJING CAPITAL | PEK | 14:25 | KE2066 | KOREAN AIR | Airbus А21NX | International |
| BUSAN | PUS | 8:00 | KE1505 | KOREAN AIR | Boeing B739 | Domestic |
| BUSAN | PUS | 10:55 | KE1515 | KOREAN AIR | Airbus BCS3 | Domestic |
| BUSAN | PUS | 11:25 | KE1517 | KOREAN AIR | Boeing B739 | Domestic |
| BUSAN | PUS | 17:40 | KE1543 | KOREAN AIR | Airbus BCS3 | Domestic |
| BUSAN | PUS | 20:20 | KE1553 | KOREAN AIR | Boeing B739 | Domestic |
| BUSAN | PUS | 22:15 | KE1561 | KOREAN AIR | Airbus BCS3 | Domestic |
| CHEONGJU | CJJ | 10:40 | KE1707 | KOREAN AIR | Airbus BCS3 | Domestic |
| CHEONGJU | CJJ | 15:15 | KE1717 | KOREAN AIR | Airbus BCS3 | Domestic |
| CHEONGJU | CJJ | 18:30 | KE1725 | KOREAN AIR | Airbus BCS3 | Domestic |
| DAEGU | TAE | 12:10 | KE1569 | KOREAN AIR | Boeing B739 | Domestic |
| DAEGU | TAE | 19:45 | KE1575 | KOREAN AIR | Boeing B739 | Domestic |
| GWANGJU | KWJ | 11:35 | KE1607 | KOREAN AIR | Boeing B739 | Domestic |
| GWANGJU | KWJ | 14:05 | KE1611 | KOREAN AIR | Airbus BCS3 | Domestic |
| GWANGJU | KWJ | 15:30 | KE1613 | KOREAN AIR | Boeing B739 | Domestic |
| GWANGJU | KWJ | 18:30 | KE1619 | KOREAN AIR | Airbus BCS3 | Domestic |
| JINJU (SACHEON) | HIN | 16:25 | KE1585 | KOREAN AIR | Boeing B739 | Domestic |
| SEOUL (GIMPO) | GMP | 7:50 | KE1007 | KOREAN AIR | Airbus BCS3 | Domestic |
| SEOUL (GIMPO) | GMP | 8:20 | KE1017 | KOREAN AIR | Boeing B739 | Domestic |
| SEOUL (GIMPO) | GMP | 8:25 | KE1019 | KOREAN AIR | Airbus BCS3 | Domestic |
| SEOUL (GIMPO) | GMP | 8:35 | KE1023 | KOREAN AIR | Boeing B739 | Domestic |
| SEOUL (GIMPO) | GMP | 9:35 | KE1045 | KOREAN AIR | Airbus А21NX | Domestic |
| SEOUL (GIMPO) | GMP | 10:10 | KE1049 | KOREAN AIR | Boeing B739 | Domestic |
| SEOUL (GIMPO) | GMP | 10:25 | KE1055 | KOREAN AIR | Airbus А333 | Domestic |
| SEOUL (GIMPO) | GMP | 11:25 | KE1073 | KOREAN AIR | Boeing B739 | Domestic |
| SEOUL (GIMPO) | GMP | 11:50 | KE1079 | KOREAN AIR | Airbus BCS3 | Domestic |
| SEOUL (GIMPO) | GMP | 11:55 | KE1075 | KOREAN AIR | Airbus BCS3 | Domestic |
| SEOUL (GIMPO) | GMP | 12:25 | KE1081 | KOREAN AIR | Boeing B739 | Domestic |
| SEOUL (GIMPO) | GMP | 14:00 | KE1107 | KOREAN AIR | Boeing B739 | Domestic |
| SEOUL (GIMPO) | GMP | 14:30 | KE1113 | KOREAN AIR | Airbus А333 | Domestic |
| SEOUL (GIMPO) | GMP | 14:40 | KE1121 | KOREAN AIR | Airbus А333 | Domestic |
| SEOUL (GIMPO) | GMP | 15:15 | KE1133 | KOREAN AIR | Boeing B739 | Domestic |
| SEOUL (GIMPO) | GMP | 16:10 | KE1143 | KOREAN AIR | Airbus BCS3 | Domestic |
| SEOUL (GIMPO) | GMP | 17:50 | KE1165 | KOREAN AIR | Boeing B739 | Domestic |
| SEOUL (GIMPO) | GMP | 18:45 | KE1177 | KOREAN AIR | Airbus А333 | Domestic |
| SEOUL (GIMPO) | GMP | 19:30 | KE1195 | KOREAN AIR | Boeing B739 | Domestic |
| SEOUL (GIMPO) | GMP | 20:00 | KE1205 | KOREAN AIR | Boeing B739 | Domestic |
| SEOUL (GIMPO) | GMP | 21:45 | KE1227 | KOREAN AIR | Boeing B739 | Domestic |
| SHANGHAI PUDONG | PVG | 9:40 | KE5058 | KOREAN AIR | Airbus А21NX | International |
| TOKYO/NARITA | NRT | 19:05 | KE2126 | KOREAN AIR | Boeing B739 | International |
| ULSAN | USN | 16:10 | KE1595 | KOREAN AIR | Airbus BCS3 | Domestic |
| YEOSU | RSU | 14:10 | KE1635 | KOREAN AIR | Airbus BCS3 | Domestic |
| HANGZHOU | HGH | 21:25 | GJ8939 | LOONGAIR | Airbus А20N | International |
| SEOUL (GIMPO) | GMP | 7:15 | WE6501 | PARATA AIR | Airbus А320 | Domestic |
| SEOUL (GIMPO) | GMP | 20:25 | WE6503 | PARATA AIR | Airbus А320 | Domestic |
| YANGYANG | YNY | 11:40 | WE6701 | PARATA AIR | Airbus А320 | Domestic |
| YANGYANG | YNY | 16:35 | WE6703 | PARATA AIR | Airbus А320 | Domestic |
| SINGAPORE | SIN | 7:25 | TR828 | SCOOT AIRLINES | Airbus А20N | International |
| SHENZHEN | SZX | 12:55 | ZH641 | SHENZHEN AIR | Airbus А320 | International |
| GUANGZHOU | CAN | 10:05 | 9C6105 | SPRING AIR | Airbus А320 | International |
| BEIJING DAXING | PKX | 21:35 | 9C7205 | SPRING AIRLINES | Airbus А320 | International |
| HANGZHOU | HGH | 22:35 | 9C8623 | SPRING AIRLINES | Airbus А20N | International |
| NANJING | NKG | 22:30 | 9C6149 | SPRING AIRLINES | Airbus А320 | International |
| NINGBO | NGB | 22:30 | 9C8625 | SPRING AIRLINES | Airbus А320 | International |
| SHANGHAI PUDONG | PVG | 10:20 | 9C8569 | SPRING AIRLINES | Airbus А320 | International |
| SHANGHAI PUDONG | PVG | 13:20 | 9C8571 | SPRING AIRLINES | Airbus А320 | International |
| SHANGHAI PUDONG | PVG | 20:35 | 9C8567 | SPRING AIRLINES | Airbus А320 | International |
| SHANGHAI PUDONG | PVG | 20:40 | 9C8575 | SPRING AIRLINES | Airbus А320 | International |
| SHANGHAI PUDONG | PVG | 22:30 | 9C8573 | SPRING AIRLINES | Airbus А320 | International |
| SHENYANG | SHE | 10:40 | 9C8707 | SPRING AIRLINES | Airbus А320 | International |
| CHEONGJU | CJJ | 9:05 | TW841 | T’WAY | Boeing B738 | Domestic |
| CHEONGJU | CJJ | 10:20 | TW835 | T’WAY | Boeing B738 | Domestic |
| CHEONGJU | CJJ | 14:10 | TW837 | T’WAY | Boeing B738 | Domestic |
| CHEONGJU | CJJ | 18:05 | TW839 | T’WAY | Boeing B738 | Domestic |
| CHEONGJU | CJJ | 21:05 | TW849 | T’WAY | Boeing B738 | Domestic |
| DAEGU | TAE | 7:15 | TW801 | T’WAY | Boeing B738 | Domestic |
| DAEGU | TAE | 7:40 | TW803 | T’WAY | Boeing B738 | Domestic |
| DAEGU | TAE | 9:55 | TW805 | T’WAY | Boeing B738 | Domestic |
| DAEGU | TAE | 11:10 | TW807 | T’WAY | Boeing B738 | Domestic |
| DAEGU | TAE | 11:25 | TW809 | T’WAY | Boeing B738 | Domestic |
| DAEGU | TAE | 20:35 | TW811 | T’WAY | Boeing B738 | Domestic |
| FUKUOKA | FUK | 11:50 | TW228 | T’WAY | Boeing B738 | International |
| GWANGJU | KWJ | 9:40 | TW901 | T’WAY | Boeing B738 | Domestic |
| GWANGJU | KWJ | 12:55 | TW903 | T’WAY | Boeing B738 | Domestic |
| GWANGJU | KWJ | 16:00 | TW905 | T’WAY | Boeing B738 | Domestic |
| GWANGJU | KWJ | 17:30 | TW907 | T’WAY | Boeing B738 | Domestic |
| KANSAI | KIX | 14:00 | TW332 | T’WAY | Boeing B738 | International |
| KAOHSIUNG | KHH | 17:10 | TW690 | T’WAY | Boeing B738 | International |
| MACAU | MFM | 6:15 | TW650 | T’WAY | Boeing B38M | International |
| SEOUL (GIMPO) | GMP | 7:40 | TW701 | T’WAY | Boeing B738 | Domestic |
| SEOUL (GIMPO) | GMP | 8:05 | TW703 | T’WAY | Boeing B738 | Domestic |
| SEOUL (GIMPO) | GMP | 9:05 | TW705 | T’WAY | Boeing B738 | Domestic |
| SEOUL (GIMPO) | GMP | 11:00 | TW707 | T’WAY | Boeing B738 | Domestic |
| SEOUL (GIMPO) | GMP | 13:30 | TW713 | T’WAY | Boeing B738 | Domestic |
| SEOUL (GIMPO) | GMP | 14:15 | TW715 | T’WAY | Boeing B738 | Domestic |
| SEOUL (GIMPO) | GMP | 15:10 | TW717 | T’WAY | Boeing B738 | Domestic |
| SEOUL (GIMPO) | GMP | 15:15 | TW723 | T’WAY | Boeing B738 | Domestic |
| SEOUL (GIMPO) | GMP | 16:30 | TW725 | T’WAY | Boeing B738 | Domestic |
| SEOUL (GIMPO) | GMP | 18:25 | TW727 | T’WAY | Boeing B738 | Domestic |
| SEOUL (GIMPO) | GMP | 18:45 | TW743 | T’WAY | Boeing B738 | Domestic |
| SEOUL (GIMPO) | GMP | 19:15 | TW731 | T’WAY | Boeing B738 | Domestic |
| SEOUL (GIMPO) | GMP | 19:45 | TW733 | T’WAY | Boeing B738 | Domestic |
| SEOUL (GIMPO) | GMP | 20:15 | TW735 | T’WAY | Boeing B738 | Domestic |
| SINGAPORE | SIN | 9:15 | TW166 | T’WAY | Boeing B738 | International |
| TAIPEI | TPE | 17:30 | TW688 | T’WAY | Boeing B738 | International |
| KAOHSIUNG | KHH | 19:15 | IT670 | TIGER AIR TAIWAN | Airbus А320 | International |
| TAICHUNG | RMQ | 10:00 | IT632 | TIGER AIR TAIWAN | Airbus А20N | International |
| TAIPEI | TPE | 9:35 | IT654 | TIGER AIR TAIWAN | Airbus А20N | International |
| ZHENGZHOU | CGO | 17:40 | PN6527 | WEST AIR | Airbus А320 | International |
___________________________________________________________
Unique Features or Challenges
Island airport with limited runway and taxi space, along with fast aircraft turnaround times. Frequent weather changes due to its coastal location — including typhoons and heavy rain in summer, strong winds and low visibility in winter. High traffic density with short intervals between movements requires efficient ground handling. Seasonal travel peaks, especially during holidays, create additional congestion, and the single-runway setup increases operational complexity during high-demand periods.
Optional: Links, images, maps, or videos
Wiki : Jeju International Airport - Wikipedia
AIP chart (official): Aerodrome <!--page title-->
Schematic map (Scribd): Client Challenge
Official website of Jeju International Airport: Flight schedule < Flights | JEJU INTERNATIONAL AIRPORT(영문)








































