Airport Name and ICAO/IATA Code
Seattle Paine Field International Airport (ICAO: KPAE / IATA: PAE)
Location (City, Country)
Everett, United States
Airport Type & Size
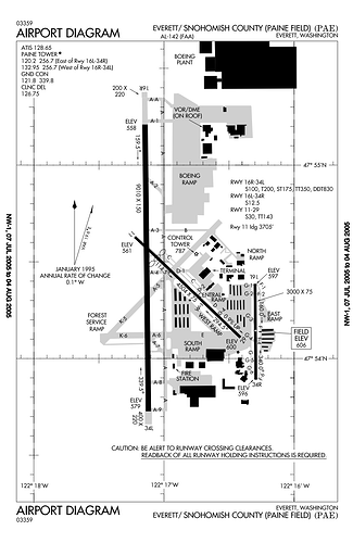
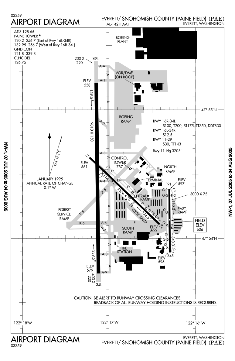
Paine Field is a unique public-use and industrial airport that serves as a critical hub for aerospace manufacturing, testing, and delivery. It features a primary runway (16R/34L) of 9,010 feet (2,750 meters) capable of handling all aircraft types, including the largest wide-body jets. While it accommodates general aviation and limited commercial flights, its core identity is intertwined with the adjacent Boeing Everett Factory – the largest building in the world by volume, where the Boeing 747, 767, 777, and 787 are assembled.
Why should this airport be added to World of Airports?
PAE offers a one-of-a-kind gameplay experience centered on aircraft manufacturing and delivery, unlike any other airport in the game. It is the primary delivery center for Boeing’s wide-body aircraft. Managing PAE involves coordinating the final preparation, test flights, and customer delivery flights for newly built 767s, 777s, and 787s. This provides a unique “end of the production line” challenge, focusing on efficient delivery line management, customer handover ceremonies, and integrating limited commercial traffic with the immense logistical needs of Boeing’s operations. It’s a must-have for players who appreciate the industrial backbone of aviation.
Major Airlines & Routes
· Commercial Service (Limited): Airlines like Alaska Airlines operate regional routes from the passenger terminal to destinations such as Las Vegas, Los Angeles, Phoenix, and San Francisco.
· The Boeing Company: The airport’s primary user. Dozens of new wide-body aircraft are delivered from here to airlines and customers globally.
· Cargo & General Aviation: Supports cargo operators and a significant amount of corporate and private aviation traffic.
Unique Features or Challenges
· Boeing Wide-body Delivery Center: PAE is home to the Boeing Everett Delivery Center, a state-of-the-art facility where airlines formally take ownership of their new 767, 777, and 787 aircraft. The center can handle three deliveries simultaneously and includes dedicated customer briefing rooms and offices.
· Final Assembly Line Integration: The airport is physically connected to the colossal Boeing Everett Factory. Newly assembled aircraft are towed from the factory directly to the flight line for testing and delivery, creating a unique ground traffic management puzzle.
· Mixed & Complex Traffic: Players must balance the scheduled, but high-value, delivery flights of new Boeing jets with the routine of commercial passenger traffic and general aviation.
· Industrial Landscape: The airport offers a distinctive visual setting dominated by the vast Boeing factory, parked 777X airframes awaiting configuration, and the constant movement of newly painted jets from carriers around the world.Runway Detail
16R/34L → 2,750 m / 9,010 ft
11/29 → 1,373 m / 4,504 ft
16L/34R → 914 m / 3,000 ft
Optional: Links, images, maps, or videos
Boeing Everett Factory - WikipediaNew Boeing delivery center opens at Paine Field | HeraldNet.com
Theoretical Route Network from PAE to Designated Airports
·PAE →
SAN - 939nm - B/C/D/E
·PAE →
MSY - 1,823nm - B/C/D/E
·PAE →
IAD - 2,002nm - B/C/D/E
·PAE →
SXM - 3,376nm - C/D/E/F
·PAE →
LHR - 4,148nm - C/D/E/F
·PAE →
NGO - 4,294nm - C/D/E/F
·PAE →
LEJ - 4,415nm - D/E/F
·PAE →
PRG - 4,522nm - D/E/F
·PAE →
INN - 4,615nm - D
·PAE →
BRI - 5,048nm - E
·PAE →
SCL - 5,596nm - E/F
·PAE →
HKG - 5,632nm - E/F (Coming soon)
·PAE →
GRU - 5,894nm - E/F
·PAE →
BKK - 6,463nm - E/F
·PAE →
MCT - 6,526nm - E/F
·PAE →
SYD - 6,739nm - E/F
·PAE →
CNN - 7,100nm - E (Coming soon)








