Airport Name and ICAO/IATA Code
St. Louis Lambert International Airport (ICAO: KSTL / IATA: STL)
Location (City, Country)
St. Louis, Missouri, USA
Airport Type & Size
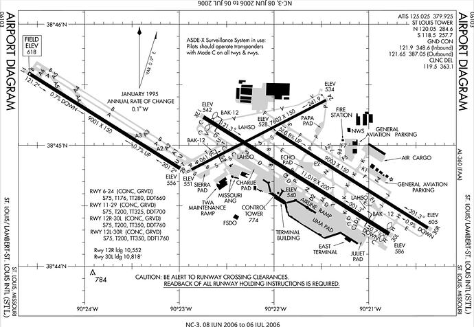
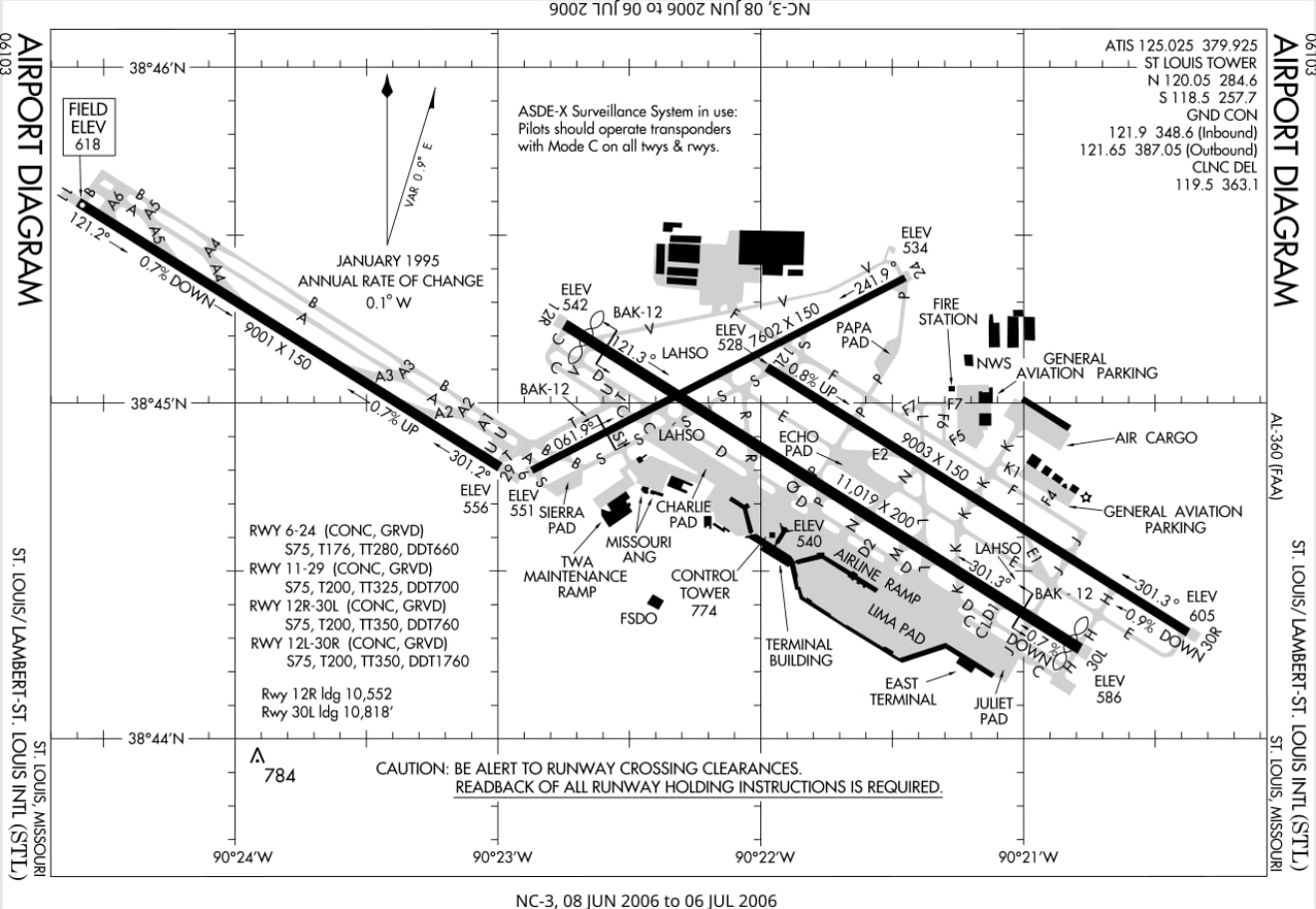
STL is a regional Hub in North America, with direct connections to over 70 destinations, mostly in the US.It operates with two terminals and 3 parallel runways (12R/30L 12L/30R, 11/29) and one cross runway 6/24 which intersects with 12R/30L as well as obstructing landings on 12L and partially on runway 29. Runway 12R/30L is 3360 meters long and is primarily used for commercial aircrafts, while 12L/30R is 2750 meters and is mainly used for cargo and GA.
In 2025 it serviced 15.3 million passengers.
STL is also a major cargo hub, with 73 thousand tons of cargo moved in 2023. Even the Antonov AN-124 visited in 2017.
Why should this airport be added to World of Airports?
- STL Lambert might not be the biggest hub in the US, but it has the perfect geographical location for connectivity in the Midwest and Southeast to the rest of the World. It also acts like a perfect stopping point between IAD, SAN and MSY.
- The airport has 54 passenger gates, which allows the player to fill them all out, without half of them sitting empty most of the time.
- It is also a major Cargo hub with dedicated Cargo stands.
- It has a lot of runways allowing for plenty of flexibility.
Major Airlines & Routes
Major airline: Southwest
Other airlines: American, Delta, Frontier, United, Air Canada (one flight from Lufthansa)
Destinations: Mostly in the US West Midlands and Southeast, but also SAN, JFK, SFO, SEA, BOS, etc. International destinations include Toronto, Montreal, Cancun, London and Frankfurt
Unique Features or Challenges
Runway crossings
Parallel runways
Snow in January and February
Optional: Links, images, maps, or videos
STL Technical Diagram (image: Wikipedia)
STL Arial Photo (image: Google Earth)
View of Terminal 1 (image: STLtoday)


