Airport Name and ICAO/IATA Code
Xiamen Gaoqi International Airport, IATA: XMN, ICAO: ZSAM
Location (City, Country)
Huli, Xiamen City, Fujian Province, China
Airport Type & Size
Airport Scale: 4E, regional aviation hub on the southeastern coast of China and one of the country’s twelve major trunk airports. Gaoqi Airport is the most important international aviation hub for the Yangtze River Delta and Pearl River Delta urban agglomerations in China, as well as the primary connecting airport between mainland China and Taiwan.Airport Facilities:
- Two Terminals in usage: T3 &T4, with 91 stands (include 26 Bridge stands)
- Cargo Area: 4 E-class stands
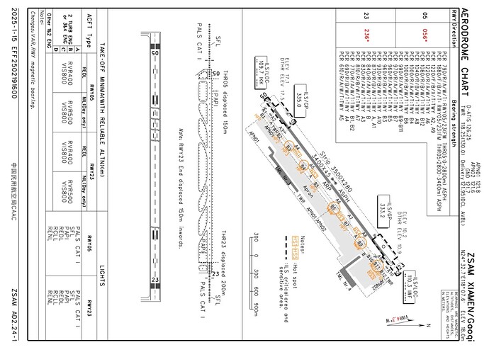
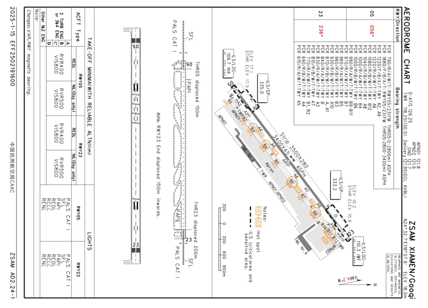
- One runway: 3400×45m
Traffic Performance: By 2024, Xiamen Airport handled an annual passenger throughput of over 27.91 million, ranking 17th in China and 94th globally, making it the busiest single-runway airport in China. Cargo throughput reached 375,700 tons, ranking 14th domestically.
Why should this airport be added to World of Airports?
Hub Airport: It serves as the base hub of Xiamen Airlines—the sixth largest airline in China, it is the only airline in the world to have achieved 38 consecutive years of profitability and also holds the best flight safety record in China—35 consecutive years without an accident. Also, it is the main hub of Spring Airlines, Shandong Airlines.
The busiest single runway airport in China—Due to China’s flight safety standards, when a single runway’s capacity reaches 20 million passengers, cities generally expand by constructing a second runway. However, as Gaoqi Airport is located in the core urban area of Xiamen Island, it can only increase passenger capacity by improving runway efficiency. Operating primarily with narrow-body aircraft such as the 737 and 320, it is remarkable that Gaoqi Airport handles nearly 30 million passengers with a single runway—achieving approximately 70% of the capacity of Heathrow’s runways.
The only 4E city-landing airport in usage in China—Xiamen Airport is currently the only operational 4E-level international airport in mainland China that requires arrivals to fly over the city center.
Impressive ocean coast & city skyline scenary—Xiamen is one of China’s most beautiful coastal cities and a representative of Southern Fujian (Minnan) culture. Before landing at Gaoqi Airport, aircraft fly over numerous urban bathing beaches, cross-sea bridges, and traditional Minnan-style residential buildings and temples, offering a spectacular view during takeoff and landing.
A perfect substitute airport of Kai Tak—Aircraft must approach from the southwest of Xiamen Island, soaring at an altitude of just 300-400 meters over the most densely populated and built-up urban core. As passengers gaze out the window, the high-rise buildings of Xiamen appear almost within reach. Against the backdrop of Hong Kong’s Kai Tak Airport having already closed, this scenario almost replicates the legendary “Kai Tak-style approach.”
Major Airlines & Routes
9 Air GuiyangAero Dili Dili
Air Chang’an Ezhou, Xi’an, Xinyang
Air China Beijing–Capital, Beijing–Daxing, Chengdu–Shuangliu, Chengdu–Tianfu, Chongqing, Guiyang, Tianjin, Wuhan, Zhengzhou
Air Guilin Guilin
Air Macau Macau
Air Travel Wuxi
Batik Air Malaysia Kuala Lumpur–International
Beijing Capital Airlines Beijing–Daxing, Huangshan, Lijiang, Shenyang, Urumqi, Xi’an, Zhengzhou
Cathay Pacific Hong Kong
Chengdu Airlines Chengdu–Tianfu, Jinggangshan
China Eastern Airlines Beijing–Daxing, Changzhou, Chengdu–Tianfu, Hefei, Kunming, Lanzhou, Nanjing, Shanghai–Hongqiao, Shanghai–Pudong, Shiyan, Taiyuan, Wuhan, Wuxi, Xi’an, Yantai, Yulin (Shaanxi), Zhengzhou, Zhoushan
China Express Airlines Chengdu–Tianfu, Xi’an, Xiangyang
China Southern Airlines Beijing–Daxing, Dalian, Enshi, Guangzhou, Guiyang, Haikou, Harbin, Nanning, Shenyang, Urumqi, Weihai, Wuhan, Zhengzhou
China United Airlines Beijing–Daxing, Shijiazhuang
Chongqing Airlines Changsha, Chongqing
Dalian Airlines Beijing–Capital
Fuzhou Airlines Hami, Harbin, Zhengzhou, Zhoushan
GX Airlines Nanning
Hainan Airlines Beijing–Capital, Changsha, Chongqing, Haikou, Harbin, Hefei, Lanzhou, Shenyang, Taiyuan, Ürümqi, Wuhan, Xi’an, Yan’an, Zhengzhou
Hebei Airlines Datong, Ordos, Shijiazhuang
Jiangxi Air Nanchang, Zhengzhou
Juneyao Airlines Nanjing, Shanghai–Hongqiao, Shanghai–Pudong
Korean Air Seoul–Incheon
Kunming Airlines Kunming
Lucky Air Chengdu–Tianfu, Kunming
Malaysia Airlines Kuala Lumpur–International
Mandarin Airlines Kaohsiung, Taipei–Taoyuan
Okay Airways Changsha
Philippine Airlines Manila
Shandong Airlines Baotou, Beijing–Capital, Changchun, Changsha, Chengdu–Shuangliu, Chengdu–Tianfu, Chongqing, Dalian, Dongying, Guangzhou, Guilin, Guiyang, Haikou, Hangzhou, Harbin, Hohhot, Jakarta–Soekarno-Hatta, Jinan, Jingdezhen, Kunming, Lanzhou, Linyi, Nanjing, Qingdao, Rizhao, Shanghai–Hongqiao, Shanghai–Pudong, Shenyang, Shiyan, Taiyuan, Tianjin, Ürümqi, Wuhan, Xi’an, Xuzhou, Yantai, Yinchuan, Zhengzhou, Zhoushan
Shanghai Airlines Shanghai–Hongqiao
Shenzhen Airlines Harbin, Nantong, Shenyang, Yangzhou
Sichuan Airlines Changsha, Chengdu–Shuangliu, Chengdu–Tianfu, Chongqing, Kunming
Singapore Airlines Singapore
Spring Airlines Bangkok–Don Mueang, Changchun, Handan, Lanzhou, Osaka–Kansai,[43] Shanghai–Hongqiao, Shenyang, Shijiazhuang, Yangzhou
Tianjin Airlines Anqing, Changsha, Chizhou, Dalian, Fuyang, Haikou, Heze, Hohhot, Tianjin, Wuhan, Xi’an, Yichang, Yulin (Shaanxi), Zunyi–Xinzhou
Tibet Airlines Chengdu–Shuangliu
Uni Air Taipei–Songshan
West Air Chongqing, Zhengzhou
XiamenAir Amsterdam, Bangkok–Suvarnabhumi, Beijing–Daxing, Changchun, Changsha, Chengdu–Tianfu, Chongqing, Dalian, Denpasar, Doha, Fuzhou, Guangzhou, Guilin, Guiyang, Haikou, Hangzhou, Hanoi, Harbin, Hefei, Hengyang, Ho Chi Minh City, Hohhot, Hong Kong, Huai’an, Jakarta–Soekarno-Hatta, Jinan, Jingzhou, Kaohsiung, Kuala Lumpur–International, Kunming, Lanzhou, Lhasa, Lianyungang, Lijiang, Liuzhou, Los Angeles, Luzhou, Macau, Malé, Manila, Melbourne, Mianyang, Nanchong, Nanjing, Nanning, Ningbo, Osaka–Kansai, Paris–Charles de Gaulle, Penang, Phnom Penh, Qingdao, Sanya, Seoul–Incheon, Shanghai–Hongqiao, Shenyang, Shenzhen, Singapore, Sydney, Taipei–Songshan, Taipei–Taoyuan, Taiyuan, Tianjin, Tokyo–Narita, Ürümqi, Vancouver, Wanzhou, Wenzhou, Wuhan, Wuyishan, Xi’an, Xinzhou, Xishuangbanna, Yancheng, Yangon, Yinchuan, Yuncheng, Zhengzhou, Zhoushan, Zhuhai, Zunyi–Maotai
Unique Features or Challenges
- Hub Airport
- The busiest single runway airport in China
- The only 4E city-landing airport in usage in China
- Impressive ocean coast & city skyline scenary
- A perfect substitute airport of KaiTai
Challenges:
- City landing
- No snowy day all year
- High runway traffic pressure.
Optional: Links, images, maps, or videos
Xiamen Gaoqi International Airport - Wikipedia










